Greg Owen (gregowen@shield-legal.com)
2025-03-19 12:44:16

@Melanie Macias @Jennifer Durnell Here is my cash app id for the basketball. It's $10...$Gowen1. or you can pay with cash

✅ Melanie Macias
Jennifer Durnell (jdurnell@shield-legal.com)
2025-03-19 15:19:51

@Greg Owen, who could i give the $10 cash too?

Greg Owen (gregowen@shield-legal.com)
2025-03-19 15:23:14

Me

Melanie Macias (mmacias@shield-legal.com)
2025-03-19 15:31:00

i just sent it @Greg Owen

Greg Owen (gregowen@shield-legal.com)
2025-03-19 15:31:48

thank you

Greg Owen (gregowen@shield-legal.com)
2025-04-02 16:22:35

FYI @Melanie Macias @Jennifer Durnell

👍 Jennifer Durnell, Melanie Macias
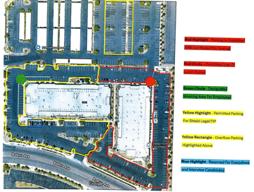
Greg Owen (gregowen@shield-legal.com)
2025-04-02 16:22:57

New parking map that goes into effect immediately

Melanie Macias (mmacias@shield-legal.com)
2025-04-02 16:45:46

Thank you @Greg Owen